本文へスキップ

ゆう美不動産の不動産情報 福島県いわき市 不動産(土地・建物)の売買・賃貸借・買取・活用についての相談は有限会社 ゆう美へ

電話でのお問い合わせは0246-63-8655

〒974-8261 福島県いわき市植田町中央一丁目10-11

売買物件詳細HEADLINE

特別記載の無いものは、全て一般仲介です
建築条件につきましては、特別記載が無いものはございまりません。お好きな業者で建築できます。


売主様の意向などで、看板を建てていない・ホームページには、載せていない売り物件もございますので、お問い合わせ下さい。
 



◆売 地


 売 地 (住宅用) 新規物件!!
いわき市錦町江栗二丁目地内
 価格1,223万円,  坪単価 13.3万円



 所在地  いわき市錦町江栗二丁目8-1の一部
 地 積  約305㎡(約92坪)
 地 目  宅地
 都市計画  都市計画区域内
 用途地域  第一種住居地域
 建ぺい率  60%
 容積率  200%
 道路 西側約6m公道に間口が約20m接している
 水道  引込無し (前面道路公営本管有り)
 電気  
 ガス  LPG
 排水 浄化槽管理区域
 交通  JR常磐線植田駅から3km車で約10分
 取引態様  仲介
 引渡時期  手付契約後、分筆測量後に引渡し
 学区  市立錦小学校:1,740m 徒歩25分
市立錦中学校:2,650m  徒歩36分
 ◆ポイント◆
◎錦町江栗セブンイレブンから徒歩3分
◎利便性の良い、住宅街です。L字型の地形ですが、接道側に間口が広いです。
◎水道の引込は、買主様の費用により行う。
◎土留めや、土盛りや、境界基礎やフェンスは、買主様の費用により行う。



 

売 地 住宅用地 現状有姿での引渡し  
 いわき市植田町横町  
 価格517万円  坪単価 万円





 所在地 いわき市植田町横町91-12
 地 積    213.64㎡
   (64.62坪)
 地 目  宅地    現状:宅地
 都市計画 土地計画区域内  市街化区域
 用途地域 第1種中高層住居専用地域
 建ぺい率 60%
 容積率 200%
 道路 西側幅員4mの市道に間口が2m接している
市道 路線番号:150094 路線名:仁井田・高倉
道路と敷地の間に水路があります。
 水道 前面道路配管有り、引込有り 
 電気 無し
 ガス LPG
 排水 浄化槽管理区域    雨水 水路     
 交通 常磐線 植田駅から 860m徒歩12分
 取引態様  媒介
 引渡し時期 即日
 学区  いわき市立植田小学校:1.5Km 徒歩20分
いわき市立植田中学校:1.3Km 徒歩18分
 引渡し内容  現状有姿にて引渡し
境界確定測量 有り
 ◆ポイント◆
◎JA直売所「いがっぺ」から直線で600m徒歩8分の場所です。植田駅から860m徒歩12分
◎西側が、天神川、南と西側が水路という立地ですが、駅近で利便性の良い場所です。
◎現在更地です。以前家が建っていました。
◎現状有姿渡し、水道引込有り、測量確定測量 有り




売 地 (資材置場)建物建築可能     
 いわき市小名浜南富岡字真石地内  
 価格400万円,  坪単価 9,081円




 所在地  いわき市小名浜南富岡字真石74-1
 地 積  1,456㎡(440.44坪)
 地 目  宅地
 都市計画  都市計画区域内
 用途地域  第1種住居地域
 建ぺい率 60 
 容積率  200%
 道路 北西側幅員約3mのに間口が約40m接している
42条2項道路の為セットバック済
(24-28 H24.5.29)
 水道  無し  引込必要 (工事料金約790万円)
 電気  無し
 ガス  無し  LPG
 排水 浄化槽管理区域 
 交通  JR常磐線泉駅より4km車10分
 取引態様  専任媒介
 引渡時期  
 ◆ポイント◆
◎国道6号バイパスに近くて上下どちらへも合流出来ます。
◎以前所有者から借りていた方が、埋立てをして現在資材置場になってます。
◎水道管が無いので入口の小名浜中央クリニックの辺りから引込む必要があり約790万円程度の工事料が掛かります。
 建物建築できる地域ですが、資材置場としての利用が費用が掛からない利用法と思われます。
◎敷地北側に、農業用ため池があります。
◎表示の価格で売買する場合は、境界確定測量を行います。




 

売 地 (住宅用)境界確定測量済・セットバックが必要     
 いわき市勿来町窪田町通2丁目
 価格390万円     値下げしました!  坪単価 7万円






 所在地 いわき市勿来町窪田町通二丁目131
 地 積 公簿196.76㎡(59.51坪)
現状 約181.76㎡(51.98坪)
(確定測量中です地積に変更が生じる可能性が有ります。)
 地 目  公簿 宅地 現状 駐車場
 都市計画  都市計画区域内
 用途地域  第一種住居地域 
 建ぺい率  60%
 容積率  200m%
 道路  西側約2.9mの公道に間口が約12m接する
セットバックが必要です。(約15㎡程度)
 水道  公営 引き込みあり メーター13mm
セットバックすると敷地外になる為引込が必要です。
 電気  
 ガス  都市ガス
 排水 浄化槽、側溝
 交通  JR常磐線勿来駅車6分(2.3km)
 取引態様   一般媒介
 引渡し時期  境界確定測量有り
 学区  市立勿来第一小学校まで472m徒歩7分
 市立勿来第一中学校まで614m徒歩9分
 建物  無し
 ◆ポイント◆
◎現状、アスファルト舗装の駐車場です。
◎マルト勿来窪田店近くの交差点近くの土地です。
◎地形は、四角です。両方が水路になってます。
◎住宅に最適です。
◎現状、ブロック基礎ですので、建物を建てるに当たり買主様の費用によりモルタルの基礎工事が必要になる可能性が有ります。敷地東側のブロック基礎より東側に境界が有る為、基礎の打ち直しが必要です。
◎境界確定測量有り(前面道路について、セットバックが必要です。)



 

売 地 (住宅用)北西の角地 建物解体更地引渡し、測量あり
                      
値下げしました    
 いわき市東田町金子平
 価格1,063万円,  坪単価 9万円





 所在地 いわき市東田町金子平127-1
 地 積 390.41㎡(118.09坪)
 地 目  公簿 宅地 現状 建物有り
 都市計画  都市計画区域内
 用途地域  第一種低層住居専用地域 
 建ぺい率  50%
 容積率  80%
 道路  北側約7.8mの公道に間口が約22m接する
西側約6mの公道に間口が約12m接する
 水道  公営 引き込みあり メーター13mm
 電気  
 ガス  LPガス
 排水 浄化槽、側溝
 交通  JR常磐線植田駅徒歩28分(2.17km)
 取引態様   一般媒介
 引渡し時期  建物解体後更地引渡し・境界確定測量有り
 学区  市立植田小学校まで1.655km徒歩21分
 市立植田東中学校まで979m徒歩13分
 建物  木造セメント瓦亜鉛メッキ鋼板葺 2階建て
1階69.96㎡ 2階28.98㎡
昭和49年新築(築50年)現在、賃貸使用中
建物は古い為使用不可
 ◆ポイント◆
◎県道20号いわき上三坂小野線より坂を上って団地内です。北西の角地
◎近くに小さな公園があります。閑静な住宅街です。
◎住宅に最適です。
◎建物解体後に更地での引渡しとなります。
◎境界確定測量有り
◎現状有姿での引渡しで、境界確定測量無しの場合は、坪単価6万円 総額700万円



 

売 地 (住宅・事業用) 
            値下げしました。現状引渡し(建物・庭木庭石付き)
     
 いわき市勿来町窪田白山41-1・西殿85-1 
 価格300万円,  坪単価 35,503円



 所在地 いわき市勿来町窪田白山41-1・西殿85-1
 地 積 合計279.34㎡(84.5坪)
 地 目  公簿 宅地 現状 更地
 都市計画  都市計画区域内
 用途地域  近隣商業地域 準防火地域
(一部第一種住居地域含む)
 建ぺい率  80%
 容積率  200%
 道路  接道:南側約7mの公道に間口が約10m接する
 水道  公営 引き込み無
 電気  
 ガス  都市ガス
 排水 浄化槽、側溝
 交通  JR常磐線駅自動車9分(3km)
 取引態様   一般媒介
 引渡し時期  建物解体後
 学区  市立勿来第一小学校まで596m徒歩9分
 市立勿来第一中学校まで800m徒歩10分
 ◆ポイント◆
◎窪田の県道日立いわき線10号線沿いの場所です。
◎勿来一小・一中からも近くて利便性の様場所です。
◎長方形の敷地ですが、南側道路で陽当たりも良く80坪あります。
◎住宅や事務所などに最適です。
◎値下げして、引渡し条件を、現状引渡しとしました。
◎買主様の費用により、建物及び庭木庭石解体撤去して頂きます。
 




 

売 地 住宅用 測量無し・現状有姿での引渡し
 いわき市植田町横町90―2
 価格1,400万円  坪単価 82,353円









 所在地 いわき市植田町横町90番2
 地 積 562㎡
(170坪)
 地 目   畑    現状: 更地
 都市計画 土地計画区域内  市街化区域
 用途地域 第1種中高層住居専用地域
 建ぺい率   60%
 容積率  200%
 道路 東側 約10mの公道に間口が、約16m接している
 水道 公営 (引込み有 止水栓25mm)
 電気
 ガス LPG
 排水 浄化槽 U字溝
 交通 JR常磐線 植田駅から907m徒歩15分
 取引態様 一般媒介
 引渡し時期 即日
 学区  いわき市立植田小学校:1.6Km 徒歩22分
いわき市立植田中学校:1.3Km 徒歩18分
 引渡し内容  現状有姿、測量無し
 ◆ポイント◆
植田駅から1km程度で、途中道路が狭いところもありますが、利便性良いと思います。
地形は、東西に長い長方形ですが、間口が16mありますので、建物を建てるには、問題ないと思われます。
敷地西側には、崖があり土砂災害警戒区域「横町175-2-1急傾斜地」の網掛けの一部敷地奥側レッドゾーンでその他イエローゾーンになります。
接道より敷地奥へ高低差があります。
文化財埋蔵地区に隣接している為、届出が必要です。
水道は、25mmで敷地内に引込済です。
東側へ38mに天神川があります。



 

建物付き売地 値下げしました! (建物有り) 現状有姿での引渡し 
いわき市遠野町上遠野字猫塚
価格295万円  坪単価1.9万円











 所在地  いわき市遠野町上遠野字猫塚128-5・128-10
 地 積  515.88㎡(156.05坪)
 地 目  宅地・雑種地
 都市計画  都市計画区域外
 用途地域  無指定
 建ぺい率  60%
 容積率 200 
 道路 南側5m私道に間口2.5m接している。
隅切り無し
 水道  水道メーター有り(引込経路不明)
(新たに引込む場合は、自費で市の水道本管から引込み必要です。)
 電気  東北電力
 ガス  LPG
 排水 浄化槽・U字溝
 建物  木造スレート葺2階建て5DK
床面積 112.05㎡(33.95坪)
 交通  JP常磐線湯本駅から1.4Km車30分
 取引態様  一般媒介
 引渡時期  即日
 学区  市立遠野小学校まで1.5km徒歩22分
市立遠野中学校まで1.9km26分








 ◆ポイント◆
◎都市計画区域外 無指定地域ですが、建物の建築に際しましては、単体規定があります。

◎現状有姿での引渡しとなります。

◎現在接道(私道)に持分所有権がありません。現在取得に向けて交渉中です。
◎水道メーターが有りますが、経路不明の私設管と思われますので、使用不可になった場合などは、新たに引込工事が必要です引込買主様費用負担により施工する。
◎入口通路の西側は、法面となっております。
◎建物を使用するには、リフォーム工事が必要ですが、令和7年4月の建築基準法改正により、リフォーム工事につきましては、専門業者に見てもらい可否につきましては、充分にご相談下さい。
◎境界確定測量無し。
◎9月までは、入居しておりました。



 

売地  住宅用地  測量無し・現状有姿での引渡しとなります
いわき市植田町横町 値下げしました!!
価格628万円  坪単価 8万円






 所在地 いわき市植田町横町62-3
 地 積 259.72㎡ (78.56坪)
 地 目 宅地
 都市計画 都市計画区域内
 用途地域 第1種住居地域
 建ぺい率 60%
 容積率 200%
 道路 北側幅員6m公道に約13m接している
東側幅員6m公道に間口9m接している
 水道 公営
 電気
 ガス LPG
 排水 下水道
 建物 構造:木造セメント瓦葺平家建 床面積:58.79㎡
新築年月:昭和63年8月有り
 交通 常磐線 植田駅から 741m徒歩約10分
 取引態様 専任媒介
 引渡し時期 即日
 学区学校 市立植田小学校:1.4km徒歩20分
市立植田中学校
1.2km徒歩18分

 ◆ポイント◆
◎2級河川「天神川」脇の宅地です。
◎昭和62年当時宅地開発にて造成された宅地です。
◎河川近くで、震災当時河川側が、地盤沈下しております。現在建っている平家建の建物も河川側が下がってます。
◎現在の建物は、浄化槽で、下水道に繋がっておりません。
◎現状引渡しとなります。



 

売地 (駐車場・資材置場)測量無し・現状有姿での引渡し 
いわき市勿来町四沢清水
価格160万円  坪単価2万円




 所在地  いわき市勿来町四沢清水8-3
 地 積  257.84㎡(77,99坪)
 地 目  宅地
 都市計画  都市計画区域内
 用途地域  第1種住居地域
 建ぺい率  60%
 容積率  200%
 道路 南東側幅2m私有地を通り道幅員3mに間口が約14m接している。
北東側水路幅1.9m道幅員1.4mに間口が13m
接している。

市の管理外の道の為、建物を建築するにあたり
協議が必要です。
 水道  引込無し
(購入後、自費で市の水道本管から引込み必要です。約70m)井戸がありますので、買主により工事が必要となります。埋めるか?利用するか?により工事内容変わる。
 電気  
 ガス  LPG
 排水 浄化槽
 交通  JP常磐線勿来駅西口から430m徒歩7分
 取引態様  一般媒介
 引渡時期  即日
 学区  市立勿来第二小学校まで650m9分
市立勿来第二中学校まで800m10分
 ◆ポイント◆
◎常磐線勿来駅から徒歩7分程度で、利便性は悪くない。
◎南東側道路より高低差が1.5m程度あり下がっている。北東側道路とは高低差無し。
◎敷地と道路の間に、私有地又は、水路ありの為利用するにあたり市との協議及び届出が必要です。
◎駐車場や資材置き場に最適です。建物を建てる場合には、土留めや整備工事等が必要です。







 
建物付き売地  住宅用 現状有姿での引渡し・以前に測量済 
 いわき市金山町汐見台83
 価格1,136万円  坪単価 土地6万円 建物0円




 所在地 いわき市金山町汐見台地内
 地 積 655㎡( 198.13坪)
     法面がある為 有効宅地約100坪
 地 目  公簿 宅地 現状 建物有り
 都市計画 都市計画区域内
 用途地域 第1種低層住居専用地域
 建ぺい率 50%
 容積率 80%
 建物  81.82㎡(24.79坪)
  木造瓦葺平屋建S51.6月新築(築41年)
 道路 北西側約4m公道に間口が8m接する
南西側約5m公道に間口19m接する
 水道  公営 引き込み無
 電気  東北電力
 ガス  LPG
 排水 浄化槽、側溝
 交通 JR常磐線植田駅自動車8分(3.2km)
 取引態様   一般媒介
 引渡し時期  即
 学区 市立汐見ヶ丘小学校まで1.5km徒歩20分
市立植田東中学校まで1.1km徒歩15分
 ◆ポイント◆
地形:上下段の土地で法面有
現在、貸家として賃貸しておりますので、明け渡しまでには、3~6ヵ月程度かかると思われます。
高台で日当たりが良く閑静な住宅街です。
上段にも接道があり、下段にも接道があります。アイデア・使用法によっては、有効に使える敷地と思われます。
上下段は、階段で繋がっております。上段にお家を建てて、下段にお庭や畑や駐車場や物置など...。
下段の116-44との間に一部水路があります。




 

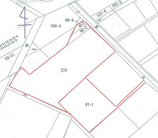
売地 (資材置場) 現状有姿での引渡し・測量無し 隣地97-1と一緒に購入
      合計590万円(隣地は、建物建築可能(住宅用地)諸条件有り
 
いわき市勿来町酒井小山下218,99-2,99-3
価格200万円  坪単価7,330円




 所在地  いわき市勿来町酒井小山下218,99-2,99-3
 地 積  902㎡(272.85坪)
 地 目  田
 都市計画  都市計画区域内
 用途地域  市街化調整区域
 建ぺい率  
 容積率
 道路 北西側4m市道に間口約5m接している。
北東側3.4m道に間口がやく11m接している。
 水道  無し
 電気  
 ガス  
 排水
 建物  無し
 交通  JP常磐線勿来駅から5.1Km車13分
 取引態様  一般媒介
 引渡時期  即日
 学区  市立勿来第三小学校まで890m15分
市立勿来第一中学校まで2.3km35分

 ◆ポイント◆
◎現状有姿での引渡しとなります。
◎資材置場としてご利用ください。
◎近くに蛭田川があり敷地西側にが用水路がある為、河川ハザードマップに掛かります。

 

売地 (住宅用) 更地引渡し・測量無し 隣地218,99-2,99-3と一緒に購入
     住宅用建物建築可(諸条件有り)合計590万円
いわき市勿来町酒井小山下97-1
価格390万円  坪単価3.2万円


一緒に購入必要上記物件込み

2物件合計額590万円

 所在地  いわき市勿来町酒井小山下97-1
 地 積  393.4㎡(119坪)
 地 目  宅地
 都市計画  都市計画区域内
 用途地域  市街化調整区域
 建ぺい率  60%
 容積率 200%
 道路 北東側3.6m公道に間口が約0.8m接している。42条2項道路R7-57号R7.11.21
間口が狭い為、隣地218番の敷地一部を
建築指導課の指導により分筆する為
上記物件と一緒に購入する必要有り
 水道  有り(設備が古い為、水道管の引き直しが必要になる可能性が有ります。)
 電気  
 ガス  LPG
 排水 浄化槽・U字溝
 建物  無し
 交通  JP常磐線勿来駅から5.1Km車13分
 取引態様  一般媒介
 引渡時期  相談
 学区  市立勿来第三小学校まで890m15分
市立勿来第一中学校まで2.3km35分

 ◆ポイント◆
◎建物を解体後に引渡しとなります。
◎現在の接道が取れない為、上記物件と一緒に購入して頂き、道路分を建築指導課と建設会社様とで協議して頂き
 必要な道路部分を分筆して接道をとり、建物を建築する流れとなります。
 建物の新築年月日が昭和39年9月29日ですので、既存宅地権の利用により条件により宅用建物新築できます。
◎近くに蛭田川があり敷地西側にが用水路がある為、河川ハザードマップに掛かります。


  売 家◆


売 家         
 いわき市地内
 ,  新築:年月(築年)









 所在地  いわき市
 建 物  種類: 構造:
床面積:㎡
年月新築
 地 積(借地)  約㎡(約坪)
 地 目  宅地
 都市計画  都市計画区域内
 用途地域  地域
 建ぺい率  
 容積率  
 道路 側幅員約m公道に間口が約m接している。
 水道  公営
 電気  
 ガス  
 排水 下水道(升有受益者負担金清算済)
 交通  JR常磐線駅よりm徒歩分
 取引態様  
 引渡時期  






 ◆ポイント◆







 

 所在地  
 地 積  
 地 目  
 都市計画  
 用途地域  
 建ぺい率  
 容積率  
 道路
 
 水道  
 電気  
 ガス  
 排水
 交通  
 取引態様  
 引渡時期  
 ◆ポイント◆



















特別記載の無いものは、全て仲介です。
 ◎不動産購入につきましては、売買代金の他に売買契約書印紙代金・所有権移転登記料・仲介手数料などの
 諸費用と登録免許税や不動産取得税や固定資産税・都市計画税など税金などがかかります。
 税金等につきましては、関係各所へお問い合わせください。登記費用につきましては、見積を明示させて頂きます。

◎不動産の購入につきましての大切な注意点
 1.土地につきましては、購入後、建物の建築に際しましては、地質地盤調査や基礎杭、給排水設備の設置
   権利金・負担金・工事費用等が掛かる事がございます。
   土留め、土盛り、外構工事等購入後に費用が掛かりますので、購入の検討の段階で建築業者さん等に
   ご相談やお見積りなどをして頂く事をお勧めしております。
 2.建物の購入につきましては、築年数やリノベーション等により状況も価格もそれぞれです。
   購入に際しましては、現状の確認及び修繕が必要な場合の修繕費用なども修繕業者様立会で見積もりな
   どをとりながら、ご購入を検討して下さい。不明な点に関しましては、ご質問ください。
 3.物件により、引渡時の条件はそれぞれ違いますので、物件の説明を良くお聞きの上ご不明な点につきましては、   お気軽にお問い合わせください。
◎不動産売買につきましては、契約書印紙代金、仲介手数料などの諸費用や、譲渡所得税や住民税や不動産取 
 得税などの税金がかかります。その他売却の翌年にも諸々の税金が発生いたしますので、税金等につきまし 
 ては管轄の税務署、役所税務課や税理士等にご相談ください。
詳細につきましては、物件の状況により変わりますのでお問い合わせ下さい。お見積りや査定・調査は無料です。